导语:2025年两会,“反内卷”成为经济领域高频词。当“低价战”“同质化”让行业陷入内耗困局,如何破局?冀百康生物透明油溶S-玻色因的诞生,正是一场从“卷价格”到“卷科技”的产业升级实践——用真创新,终结伪竞争。

配方雷同、概念堆砌、价格血拼……美妆行业陷入“内卷式竞争”怪圈:
成本导向:90%品牌扎堆“玻色因+胜肽”配方,创新停滞;
资源浪费 :无效成分叠加,成本飙升但功效未达预期;
信任危机 :消费者为营销买单,却难见真实效果。
两会声音:“中国国际经济交流中心科研信息部副部长刘向东认为,整治“内卷式”竞争,需要引导行业和企业摆脱以低价、低质量、低成本获取市场的手段,转向以科技创新引领的高品质差异化的良性竞争。”(引自《经济参考报》

真正的“反内卷”,不是逃避竞争,而是用技术重构竞争规则。
作为全球首款透明油溶S-玻色因原料,以三大突破,为行业提供“高质量竞争”新范式:
技术破壁
○ 独创专利油溶技术,渗透率提升3.5倍,直抵肌底修护靶点;
○ 告别传统玻色因“悬浮沉淀”难题,配方稳定性突破行业天花板。
成本革命
○ 单成分实现“抗衰+修护+提亮”三重功效,减少冗余添加;
○ 配方精简30%,生产效率提升20%。
恒守承诺
○ 高载药量,绝非成分表数字的狂欢;
○ 拒绝“伪概念”,第三方认证功效数据。


保湿功效显著:构建真皮/表皮储水网络
玻色因促进GAGs合成,因其强大的吸水能力,提升肌肤含水量,同时玻色因能促进胶原蛋白和弹性蛋白的合成,强化肌肤表皮屏障,减少水分流失。
Ⅰ.添加3%浓度的透明油溶S-玻色因24H内各时段保湿率变化

Ⅱ.添加15%浓度的透明油溶S-玻色因24H内各时段保湿率变化

*以上数据均来自冀百康生物第三方检测数据
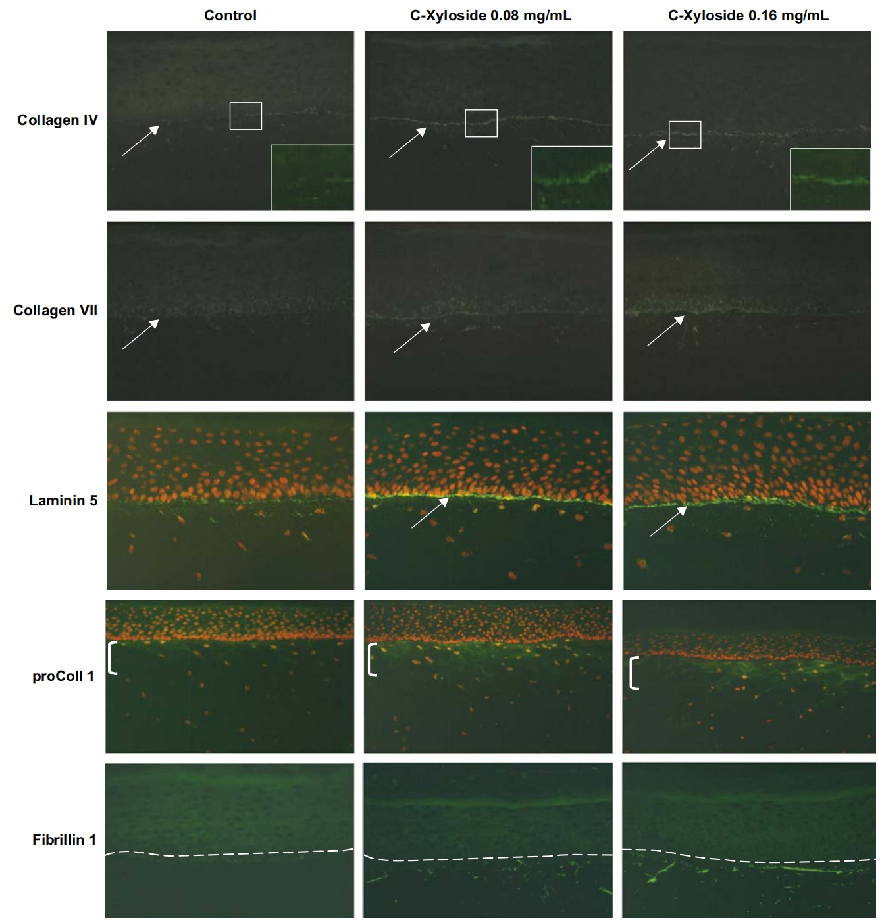
抗皱功效显著:促进IV和VII型胶原蛋白合成,改善真皮表皮链接部(DEJ)1
玻色因是一种特定的C-木糖苷衍生物,从研究文献表明,C-Xyloside能显著提高基底膜和真皮表皮连接部(DEJ)蛋白在重建皮肤模型中的沉积,包括IV型胶原、VII型胶原和层粘连蛋白5(Laminin 5),原I型胶原和原纤维蛋白1(Fibrillin 1)的表达。改善DEJ的形态生成,对恢复或改善老化皮肤DEJ的完整性和凝聚力具有潜在的益处。
Ⅰ.0.08mg/mL或0.16mg/mL的C-木糖苷对DEJ特异性蛋白在人重建皮肤中沉积的影响


Ⅱ.不同浓度的透明油溶S-玻色因对弹性蛋白酶抑制率

*以上数据来自冀百康生物第三方检测数据
临床评估:显著改善面部下垂、鼻唇沟、皮肤光泽和肤色均匀度等绝经后皮肤衰老的可见迹象2
在绝经后的女性中,雌激素缺乏导致胶原蛋白合成减少,从而引发皮肤萎缩、皮肤弹性降低和皮肤干燥增加。
测试:一种固定配方的补偿性护肤复合物(含3%的C-吡喃木糖苷衍生物Pro-xylane),在绝经后女性中每日使用,60天后的效果。
Ⅰ.第0天与第60天皮肤衰老体征的临床评估

A组接受了补偿性护肤复合物和保湿霜\B组仅使用保湿霜
透皮吸收率提升:油相透皮效率是传统水相的3.5倍
油性原料最大特点就是与人类肌肤皮脂膜结构相似,具有极好的亲脂性,因此比水更容易被皮肤所吸收;冀百康生物特有的专利油溶技术,原料肤感清爽不粘腻,与基础油兼容性强,应用领域广。
Ⅰ.油溶和水溶渗透量对比

*以上数据来自冀百康生物检测数据
当行业站在“内卷”与“升级”的十字路口,冀百康生物坚守品质,选择做“难而正确的事”——用硬核科技打破内耗僵局,用真实功效重建消费信任。
今年是“十四五”规划收官之年,新的五年规划也呼之欲出,这是一个具有承上启下意味的重要节点。内卷的尽头是科技,创新的终点是共赢。
2025,让我们携手跳出“内卷泥潭”,在高质量发展的新蓝海扬帆!
冀百康生物承诺
❌️ 拒绝价格战:严控渠道价格,保障合作伙伴利润空间;
✔️ 技术赋能:开放定制化配方数据库,助力品牌打造独家爆品;
✔️ 合规护航:提供全链路功效评测支持,降低市场风险
如有意向,可联系业务人员或在网站留言
参考文献:
1、Sok J, Pineau N, Dalko-Csiba M, et al. Improvement of the dermal epidermal junction in human reconstructed skin by a new c-xylopyranoside derivative[J]. European Journal of Dermatology, 2008, 18(3): 297-302
2、 Bouloc A, Roo E, Moga A, et al. A compensating skin care complex containing pro-xylane in menopausal women: results from a multicentre, evaluator-blinded, randomized study[J]. Acta dermato-venereologica, 2017, 97(4): 541-542.

